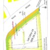
Quaëdypre terrain à batir 669m²

Imprimer cette annonce Imprimer cette annonce

102,500.00 €

Quaedypre
  • Surface du terrain: 669 m²
  • Type:
  • Ville: Quaedypre

Description

Situé sur la commune de Quaëdypre, découvrez ce terrain constructible de 669 m², idéal pour la réalisation de votre futur projet de construction.

Le terrain est borné et viabilisé, et libre de constructeur vous laissant la liberté de choisir le professionnel de votre choix.

Prix hors honoraires : 95.000€
Prix frais d’agence inclus : 102.500€ soit 7.89% TTC du prix de vente
Les honoraires sont à la charge de l’acheteur

Pour toutes demandes de visite ou renseignements : 03 28 20 20 66 / bggbergues@wanadoo.fr

Les informations sur les risques auxquels ce bien est exposé sont disponibles sur le site Géorisques : www.georisques.gouv.fr